北京时间2月9日消息,一个海洋测绘队已经在世界最深处——西太平洋关岛附近长1500英里(2414.02公里),深6.8英里(10.94公里)的马里亚纳海沟发现4座海底“桥梁”。有些“海底山”高2500米,当一个构造板块被拖到另一个构造板块下方,就会形成横跨海沟的桥梁。

研究人员利用高科技回音测深仪绘制世界最深处的3D“图”

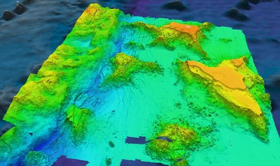
横跨该海沟的“桥梁”是在一个构造板块俯冲到另一个构造板块下方时产生的,被推倒的山脉在海沟上方形成桥梁

研究人员扫描了该海沟40万平方公里的范围。箭头指示的是发现桥梁的区域
科学家还利用多束回声测深仪测量了地球最深处挑战者深渊(Challenger Deep),精确度比以往任何时候都更高。研究人员从2010年8月到10月间一直利用船侧扫描仪测绘整个马里亚纳海沟的地形结构,在此期间发现4座横跨该海沟的桥梁。这些桥梁比它下面的海床高2500米。虽然卫星图曾指出,可能有这样一座海脊横跨在马里亚纳海沟上方,但是加德纳表示,测绘任务证实这里存在4个这样的构造。他说:“这一发现令我激动不已。”
这些海脊是在已有1.8亿岁的太平洋板块与更年轻的菲律宾板块相互碰撞过程中形成的。加德纳称,由于海洋地壳会随着年龄的增加而降温,“太平洋地壳更年长,因此它正慢慢下沉到菲律宾板块下”。当太平洋板块上的海山被拖到菲律宾板块下面时(这一过程又称潜没),它们就会紧紧抵住海沟的沟壁,形成这些海脊。据加德纳猜测,这些桥梁涉及到地震俯冲带,例如造成2011年3月日本大地震的一个这种俯冲带。他说:“这是一种极其复杂的地况。这些海山死死抵住板块。”
这个测绘队还得出迄今为止最精确的挑战者深渊测量结果,这是马里亚纳海沟最深处,深达10994米,误差是40米。通过计算数千个测深,并详细分析海水是如何改变回声测深信号的,这项最新测量结果与其他有关挑战者深渊的深度的声称类似,认为它比以前推测的结果更深。加德纳注意到挑战者深渊的深度超过珠穆朗码峰的高度。他说:“当你测量深11公里的构造时,你就不得不设法应对该系统固有的不确定性。”
多束回声测深仪通过向海底发射声能量,然后对反射回来的信号进行分析,测量海底构造的深度。该仪器安装在船底,它们产生的扇形声能量覆盖海床。最终获得的图片的清晰度比其他早期测量系统更精确。阿姆斯壮及加德纳等水文学家和海洋测绘员描述了测绘一个像“修剪草坪”的区域的过程,在这里制造叠加轨迹是个问题。(孝文)

{{item.content}}